bilgi@inonu.bel.tr
Çalışma Saatleri: Pts - Cum 09.00 - 18.00 / Cmt 09:00 - 12:00
Gizlilik ve Güvenlik
Aydınlatma Metni
Anasayfa
Kurumsal
Başkan
Vizyon & Misyon
Yönetim Şeması
Belediye Meclisi
Meclis Kararları
Raporlar
Muhtarlıklar
Eski Başkanlar
İnönü
İnönü Rehberi
İnönü Tarihi
Gündem
Haberler
Duyurular
Etkinlikler
İhaleler
İlanlar
Hizmetlerimiz
Beyaz Masa
İmar Sorgulama
Nikah İşlemleri
Bilgi Edinme Formu
Halk Bülteni - Belediye Neler Yaptı?
Evde Kişisel Bakım Hizmetleri
Afet Hazırlık ve Acil Toplanma Alanları
Mahallemin Hikayesi
İstek ve Şikayet Formu
İnönü Hafızası - Dijital Arşiv
Tesisler
Projeler
Gazete & Dergi
Galeri
Foto Galeri
Video Galeri
İletişim
Anasayfa
İlanlar
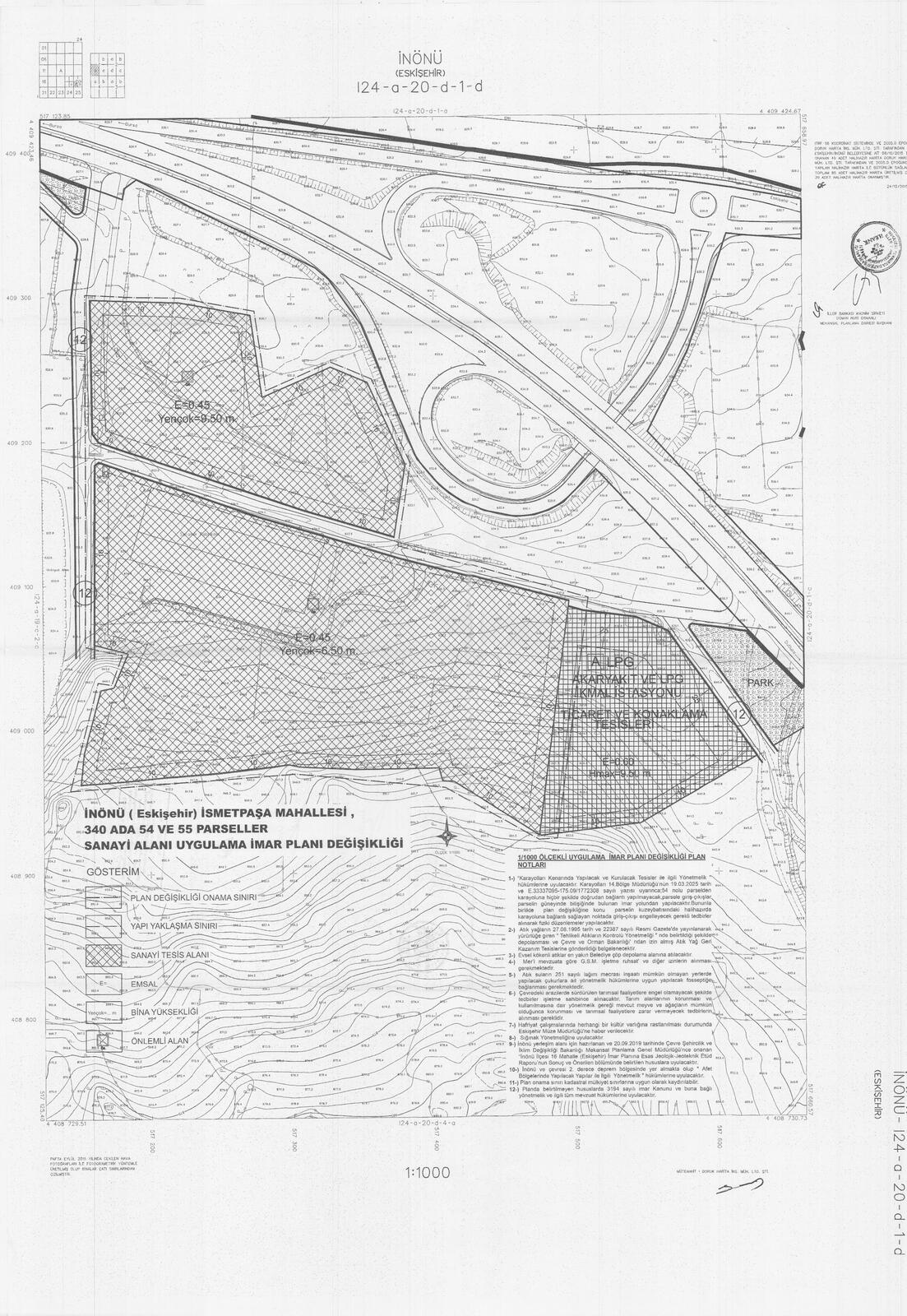
İsmetpaşa mahallesi 340 ada 54 ve 55 parselleri kapsayan alanda plan değişikliği ilanıdır
23.02.2026
İsmetpaşa mahallesi 340 ada 54 ve 55 parselleri kapsayan alanda plan değişikliği ilanıdır
GÜNDEM
Haberler
Duyurular
Etkinlikler
İhaleler
İlanlar
Son Haberler
02.02.2026
Şehit Ali İhsan Aydın İlköğretim Okulu 2A ve 2B sınıfı öğrencileri Hayat Bilgisi Dersinde Yerel Yönetimleri Tanıyoruz konusunu kapsamında Başkanımız Sn. Serhat HAMAMC
18.02.2026
Belediye Başkanımız Sn. Serhat HAMAMCI, Bölgesel Amatör Lig’de mücadele eden temsilcimiz 2 Eylül İnönü Belediyespor Kulüp Yönetimi ve kıymetli sporcularımız ile birli
18.02.2026
icret Derneği Yönetim Kurulu Üyeleri Sn. Yavuz ÇİĞDEM ve Sn. Hamza YAKIN Başkanımız Sn. Serhat HAMAMCI’ya nezaket ziyaretinde bulundular.
21.02.2026
Dutluca Mahallemizde sundurmanın çatısının kapatılması, Erenköy Fırın Evi İnşaatı Devam ediyor..
Duyurular
26.09.2025
İ L A N İNÖNÜ BELEDİYE BAŞKANLIĞINDAN
18.08.2025
T.C. İNÖNÜ BELEDİYE BAŞKANLIĞI TEBLİGAT VARAKASI
14.11.2024
İ L A N İNÖNÜ BELEDİYE BAŞKANLIĞINDAN
18.07.2023
DUYURU
BELEDİYEMİZDEN HABERDAR OLMAK İSTER MİSİNİZ?
Bültenimize Katılın
E-Posta
Telefon
Kayıt Olun
+90 (222) 591 25 20
bilgi@inonu.bel.tr
İsmetpaşa Mahallesi Atatürk Caddesi no.116 İNÖNÜ/ESKİŞEHİR